Bishop Monkton, Harrogate, HG3
Description
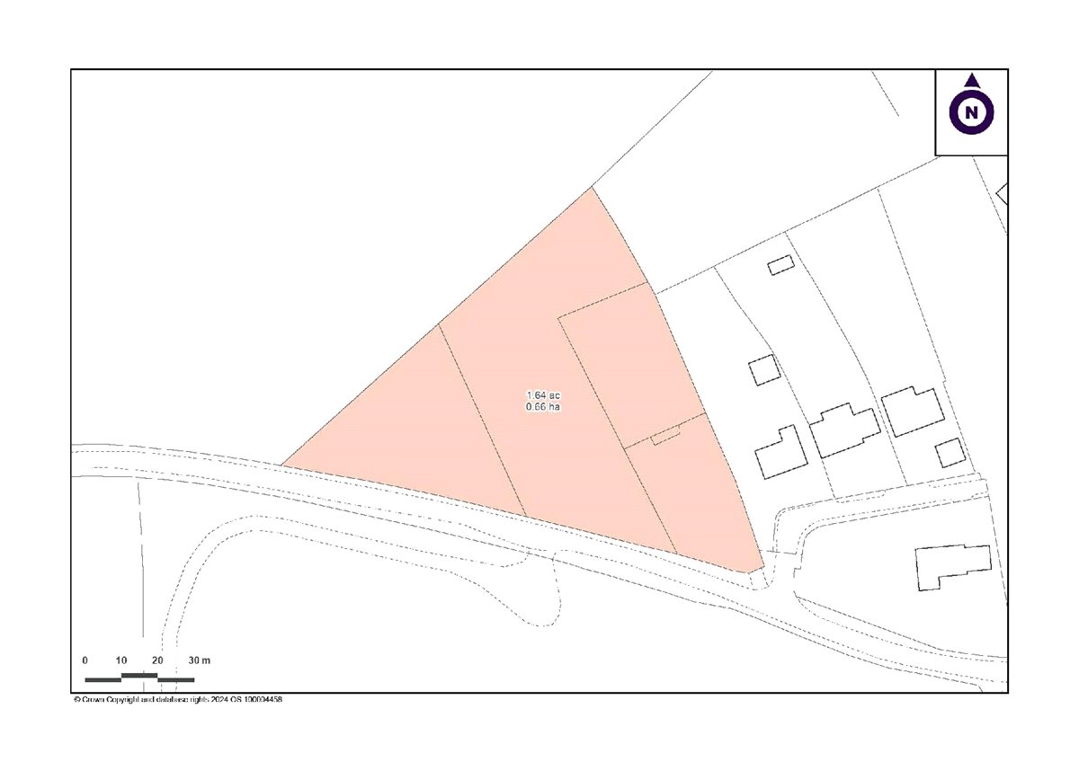
LOCATION The property occupies a strategic position on the western edge of the popular village of Bishop Monkton situated approximately 4 miles to the south of the cathedral city of Ripon and 8 miles to the north of the spa town of Harrogate. Access to the A61 connecting Ripon and Harrogate is situated approximately 1 mile to the west of the property. LAND A ring-fenced equestrian facility comprising an all-weather outdoor arena and turnout paddocks extending in all to approximately 1.63 acres (0.66 hectares). The all-weather measures 25 metres x 40 metres and is bound by timber post and rail. The surface comprises a silica sand and rubber chip mix laid on top of a geotextile membrane and benefits from under drainage. The land is subdivided into turnout paddocks which are bound by timber post and rail fencing together with an electrified single strand of wire on either side of the top rail. External boundaries are a mixture of mature hedgerow and timber post and rail fencing. The land is classified as Grade 2 under the former MAAF Provisional Agricultural Land Classification. The underlying soil type is classed as being part of the “Brickfield 3” series, which is a slowly permeable fine loamy over clayey soil summarised as being ideal for stock rearing and some dairying on permanent grassland and winter cereals on drier lowlands. The land benefits from a level topography and is situated approximately 45 metres above sea level. METHOD OF SALE The property is offered for sale by private treaty as a whole. The vendors reserve the right to conclude the sale by any other means at their discretion. TENURE & POSSESSION The property is offered for sale freehold with vacant possession available upon completion. PLANNING Part of the village of Bishop Monkton is designated as a Conservation Area however, the land falls outside the extent of the boundary of the Conservation Area. Whilst the land falls outside the development limit of the village of Bishop Monkton, it does border recent residential development on the eastern boundary of the property. OVERAGE The land is sold subject to a development overage whereby the vendor will be entitled to 50% of any uplift in value for a term of 30 years payable on the implementation of planning consent or the sale with the benefit of planning consent for any use other than agricultural or equestrian. WAYLEAVES EASEMENTS & RIGHTS OF WAY The land is sold subject to and with the benefits of all rights of way, water drainage, water courses and other easements quasi or reputed easements and rights of adjoining owners (if any) affecting the same and all existing and proposed wayleaves and other matters registered by any competent authority subject to statute. HEALTH & SAFETY Please take care when viewing the property and be as vigilant as possible when making an inspection for your own personal safety. VAT Any prices quoted are exclusive of VAT. In the event that the sale of the property or any part of it or any right attached to it becomes chargeable supply for the purposes of VAT, such tax will be payable in addition to the purchase price. SPORTING RIGHTS The sporting rights are included insofar as they are owned. MINERAL RIGHTS The mineral rights are excluded from the sale in favour of a third party. LOCAL AUTHORITIES North Yorkshire Council www.northyorks.gov.uk VIEWINGS Parties are permitted to view the land on foot during reasonable daylight hours whilst in possession of these sales particulars. Please inform Carter Jonas that you intend to view the land – 01423 707801. DIRECTIONS From Ripon travel south on the A61 towards Harrogate. Turn left onto Moor Road signposted Bishop Monkton and the land is located on the left hand side as you enter the village of Bishop Monkton. What3Words ///nags.fund.escalates
Location
Key property details
- Accessibility
- Ask agent
- Parking
- Ask agent
- Garden
- No
- Carter Jonas reference
- HGT240033
Description
LOCATION The property occupies a strategic position on the western edge of the popular village of Bishop Monkton situated approximately 4 miles to the south of the cathedral city of Ripon and 8 miles to the north of the spa town of Harrogate. Access to the A61 connecting Ripon and Harrogate is situated approximately 1 mile to the west of the property. LAND A ring-fenced equestrian facility comprising an all-weather outdoor arena and turnout paddocks extending in all to approximately 1.63 acres (0.66 hectares). The all-weather measures 25 metres x 40 metres and is bound by timber post and rail. The surface comprises a silica sand and rubber chip mix laid on top of a geotextile membrane and benefits from under drainage. The land is subdivided into turnout paddocks which are bound by timber post and rail fencing together with an electrified single strand of wire on either side of the top rail. External boundaries are a mixture of mature hedgerow and timber post and rail fencing. The land is classified as Grade 2 under the former MAAF Provisional Agricultural Land Classification. The underlying soil type is classed as being part of the “Brickfield 3” series, which is a slowly permeable fine loamy over clayey soil summarised as being ideal for stock rearing and some dairying on permanent grassland and winter cereals on drier lowlands. The land benefits from a level topography and is situated approximately 45 metres above sea level. METHOD OF SALE The property is offered for sale by private treaty as a whole. The vendors reserve the right to conclude the sale by any other means at their discretion. TENURE & POSSESSION The property is offered for sale freehold with vacant possession available upon completion. PLANNING Part of the village of Bishop Monkton is designated as a Conservation Area however, the land falls outside the extent of the boundary of the Conservation Area. Whilst the land falls outside the development limit of the village of Bishop Monkton, it does border recent residential development on the eastern boundary of the property. OVERAGE The land is sold subject to a development overage whereby the vendor will be entitled to 50% of any uplift in value for a term of 30 years payable on the implementation of planning consent or the sale with the benefit of planning consent for any use other than agricultural or equestrian. WAYLEAVES EASEMENTS & RIGHTS OF WAY The land is sold subject to and with the benefits of all rights of way, water drainage, water courses and other easements quasi or reputed easements and rights of adjoining owners (if any) affecting the same and all existing and proposed wayleaves and other matters registered by any competent authority subject to statute. HEALTH & SAFETY Please take care when viewing the property and be as vigilant as possible when making an inspection for your own personal safety. VAT Any prices quoted are exclusive of VAT. In the event that the sale of the property or any part of it or any right attached to it becomes chargeable supply for the purposes of VAT, such tax will be payable in addition to the purchase price. SPORTING RIGHTS The sporting rights are included insofar as they are owned. MINERAL RIGHTS The mineral rights are excluded from the sale in favour of a third party. LOCAL AUTHORITIES North Yorkshire Council www.northyorks.gov.uk VIEWINGS Parties are permitted to view the land on foot during reasonable daylight hours whilst in possession of these sales particulars. Please inform Carter Jonas that you intend to view the land – 01423 707801. DIRECTIONS From Ripon travel south on the A61 towards Harrogate. Turn left onto Moor Road signposted Bishop Monkton and the land is located on the left hand side as you enter the village of Bishop Monkton. What3Words ///nags.fund.escalates
Location
Key property details
- Accessibility
- Ask agent
- Parking
- Ask agent
- Garden
- No
- Carter Jonas reference
- HGT240033